Experience

Our survey and monitoring services have informed decision-making for a wide variety of marine and costal projects and developments

Ecological Survey

Measuring dredging impact on black bream

Tarmac Marine and CEMEX UK Marine commissioned ABPmer to undertake an assessment of black bream nesting activity in survey areas in the Kingmere MCZ, to contribute to annual monitoring requirements for Areas 453 and 488 licences.

Hydrographic-Geophysical Survey

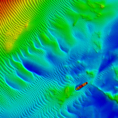
Understanding Welsh seabed characteristics through multibeam bathymetry processing

Processing bathymetry and backscatter data to help Welsh Government better understand seabed characteristics in resource areas

Hydrographic-Geophysical Survey

Area 392/393 geophysical survey

ABPmer was asked to conduct a geophysical survey within aggregate extraction Area 392/393 in fulfilment of a marine licence issued by NRW.

Hydrographic-Geophysical Survey

Crab fishery monitoring to support aggregate dredging

ABPmer was asked to conduct a geophysical survey in the vicinity of a crab fishery area south of Hastings, to ensure there were no negative effects from aggregate dredging activity taking place nearby

Oceanographic Survey

Tidal flow survey for Chichester Harbour Pontoon development

Identifying the difference in tidal flow between an existing pontoon and its planned extension, to inform a Navigational Risk Assessment

Oceanographic Survey

Hydrodynamic and coastal process impact assessment

ABPmer was commissioned to undertake an estuarine hydrodynamic and coastal process assessment of the Cruise Hull Project to inform a feasibility study and the start of the marine licence process.

Oceanographic Survey

Sediment and navigation studies for deep-water berth

ABPmer was commissioned to evaluate the hydrodynamic and sedimentary implications of two potential designs for deep-water berthing facilities at Douglas Harbour.

Ecological Survey

Baseline survey of Bembridge MCZ key features

Undertaking a phase one baseline survey of key features to assess the direction of ecological change

Oceanographic Survey

Southampton oceanographic campaign

To further develop a hydrodynamic numerical model of Southampton Water, ABPmer was contracted to design, plan and conduct a comprehensive oceanographic data collection campaign.

Topographic Survey

Supporting the preservation of Tilbury Fort with bathymetry and topographic survey

Undertaking bathymetric and topographic surveys to support the moat management plan for the historic Tilbury Fort

Logo

Marine and Coastal Survey - part of ABPmer

Contact us

ABPmer
Quayside Suite
Medina Chambers
Town Quay
Southampton
SO14 2AQ

E-zine sign-up